Tartinijev trg 2 / Piazza Tartini 2
6330 Piran/Pirano
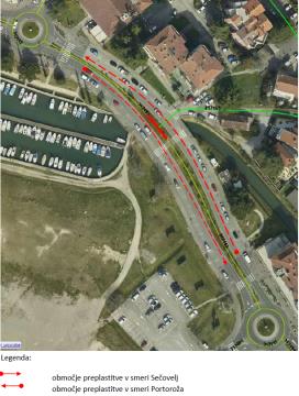
Občina Piran obvešča, da bodo v ponedeljek, 3. junija 2024, začeli z gradbenimi deli za preplastitev dela občinske ceste Obala v Luciji.
Predmet sanacije bo vozišče ceste Obala, od krožišča s Podvozno cesto (krožišče pri Mercator trgovini) do krožišča s Cesto solinarjev (krožišče pri KS Lucija oz. pri Slaščičarni Bučko), in sicer v obeh smereh, tako proti TPC kot proti Portorožu.
V času izvajanja del bo urejena delna zapora, promet pa bo skozi celotno dolžino gradbišča preusmerjen na območje parkirnih mest. Z deli bodo zaključili najkasneje do petka, 7. junija 2024.
Za izvedbo del je Občina Piran na podlagi izvedenega postopka zbiranja ponudb podpisala pogodbo v vrednosti 75.000 EUR z DDV s podjetjem CPK d. d.
Občina Piran vse občanke in občane prosi za razumevanje in potrpežljivost.